Skip to content
West Hill Park
Menu
+
×
expanded
collapsed
Home
Map and aerial view
History
Views
Buying and selling
Building work consent
Contractors
Trees
Parking
Contact
Local links
Map and aerial view
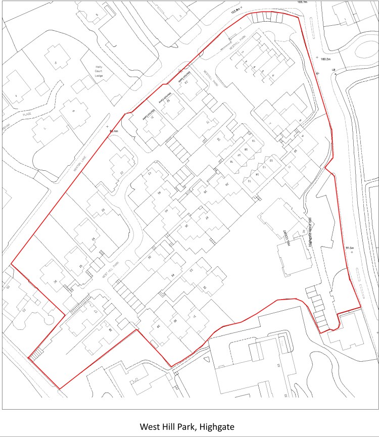
West Hill Park edged black, with Hampstead Heath (Highgate Ponds) to the west
Subscribe
Subscribed
West Hill Park
Sign me up
Already have a WordPress.com account?
Log in now.
West Hill Park
Subscribe
Subscribed
Sign up
Log in
Copy shortlink
Report this content
View post in Reader
Manage subscriptions
Collapse this bar
Loading Comments...
Write a Comment...
Email (Required)
Name (Required)
Website